
SIGA A SAUDADE FM NAS REDES SOCIAIS

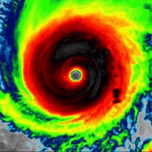
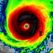
O furacão Melissa deve atingir a Jamaica nesta terça-feira (28) como uma tempestade catastrófica de categoria 5, a mais forte registrada na ilha desde o início dos registros, há 174 anos.
Três pessoas já morreram no país devido a tempestades que antecederam a chegada do furacão. Segundo a Cruz Vermelha, o fenômeno terá um impacto massivo, afetando pelo menos 1,5 milhão de pessoas, equivalente a metade da população da Jamaica.



